U.S. federal agencies submit over 100 Earth observation needs to NASA every two years. Each one requires a formal, consistent assessment report. Development Seed built the tooling for a more coherent, efficient process that delivers consistent, accurate, and timely reports at scale.
Overview
Initiated by the White House’s National Science and Technology Council, the SNWG conducts a biennial survey to document and communicate the Earth observation needs of U.S. federal agencies to NASA and other satellite providers. Development Seed worked with NASA’s SNWG Implementation TEam (NSITE) to build an end-to-end solution for assessment process of SNWG survey results, including customizations to their project management system and a bespoke Report Generation Tool (RGT) to document the survey results formally.
Challenge
SNWG identifies and communicates the Earth observation needs of dozens of federal agencies to support their ongoing missions and applications. In that effort, NASA receives about 120 survey responses each survey cycle that must be assessed, documented, and addressed. Ensuring that the ~120 final survey reports are consistent and accurate is very labor-intensive.
Outcome
With the Report Generation Tool collaboratively developed with Development Seed, the NSITE team now spends significantly less time managing responses to the survey. Assessment reports are more consistent, accurate, and timely by tying multiple datasets and platforms into a coherent process.
Assessment reports, written in a standardized format, are the final output of the SNWG cycle and are submitted to the U.S. Group on Earth Observations (USGEO) as well as distributed to the agency survey submitters. Until the 2022 Satellite Needs Survey, the team used off-the-shelf word processing software to write the assessment reports. This proved difficult to manage with the increasing amount of reports to write. A new approach was needed, with 116 reports to write in the 2022 assessment cycle.
End-to-end Solution
Development Seed’s solution consists of two main parts:
- Customized workflows for the NSITE team’s management software, Asana.
- Report Generation Tool (RGT) to manage the creation, review, and generation of standardized assessment reports.
Asana Customizations
Our team worked on adding extensions and improvements to Asana to allow for the NSITE team to more effectively manage content from the Needs Surveys. Each need is assigned a unique identifying number and imported into Asana as a card. These cards are then sorted into columns that signify the steps required to go from survey to interview to writing, reviewing, and finalizing the report. These need cards are tagged with several types of metadata, including the thematic area and the submitting agency. Links to relevant resources and the report are automatically added to Need ID cards. Deadlines are automatically scheduled, and users are notified when steps are marked as completed.

Various need cards sorted by status.
Users can also propose new SNWG solutions through a Google Form. Our team linked the form submissions to the Asana board, so each submission creates a new card with desired metadata, such as linking to Need ID cards, solution type, and types of geophysical variables.
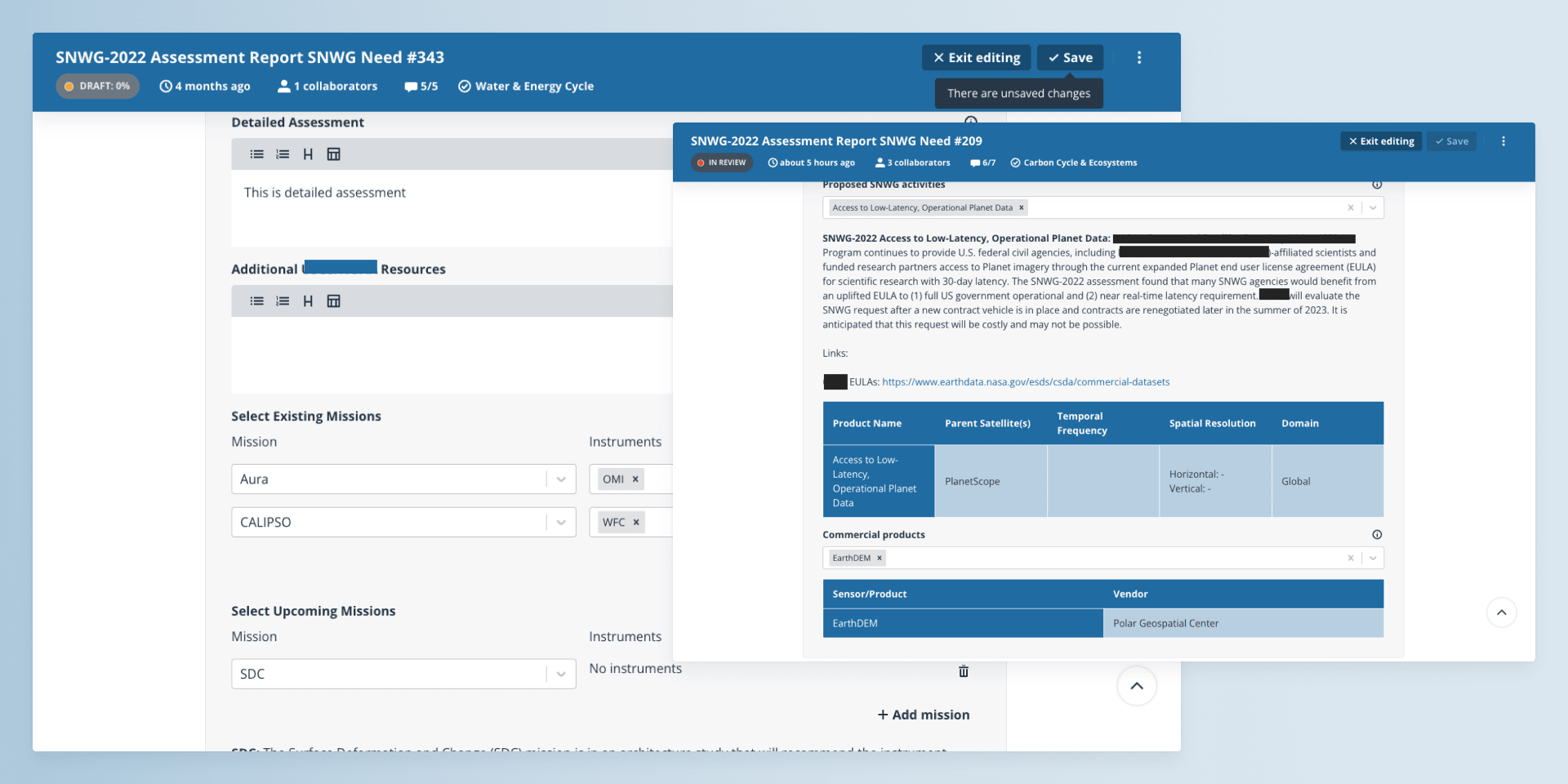
Report Generation Tool The main work was to build the tool to write, review, and finalize assessment reports. The RGT acts primarily as a controlled text editing tool. This is controlled at the user level (only certain users can edit certain reports) and the text-block level (users can only edit certain chunks of text). This ensures that only the right people are writing, reviewing and finalizing reports, and writers are only editing text in areas that require customization at the individual report level.

RGT report editing interface. Users add text to individual report sections instead of freely editing the whole document to ensure consistency across reports. Users also select items from various databases to include information about various satellites.
Reports can then be viewed in the format that matches the formal report submission. These reports include boilerplate text from selected satellite products and text consistent across all reports. Users can track the status of the reports they’re working on and view other teams’ reports.

RGT dashboard
Reception
We received positive feedback from users and other stakeholders at the end of the 2022 and 2024 Assessment Cycles. The tooling made the writing process more straightforward for users, drastically reducing NSITE’s overhead burden in preparing assessment reports.
We continue to work with the NSITE team to improve the tooling and assessment process further.
About NASA ODSI (formerly known as IMPACT)
NASA’s Marshall Space Flight Center Office of Data Science and Informatics (ODSI) is the agency’s premier center for data science innovation, driving groundbreaking scientific discoveries, and pioneering technological advancements and applications across all scientific fields. ODSI partners with Development Seed to advance NASA science through enhanced data science infrastructures and informatics, providing cutting-edge expertise, tools, and capacity building to support key programs and drive transformative scientific breakthroughs.
Have a challenging project that could use our help?
Let's connect
We'd love to hear from you.
